StoryEditor

Turkuć podjadek - szkodnik czy sprzymierzeniec?

Data:  09 marzec 2016Autor:
09 marzec 2016
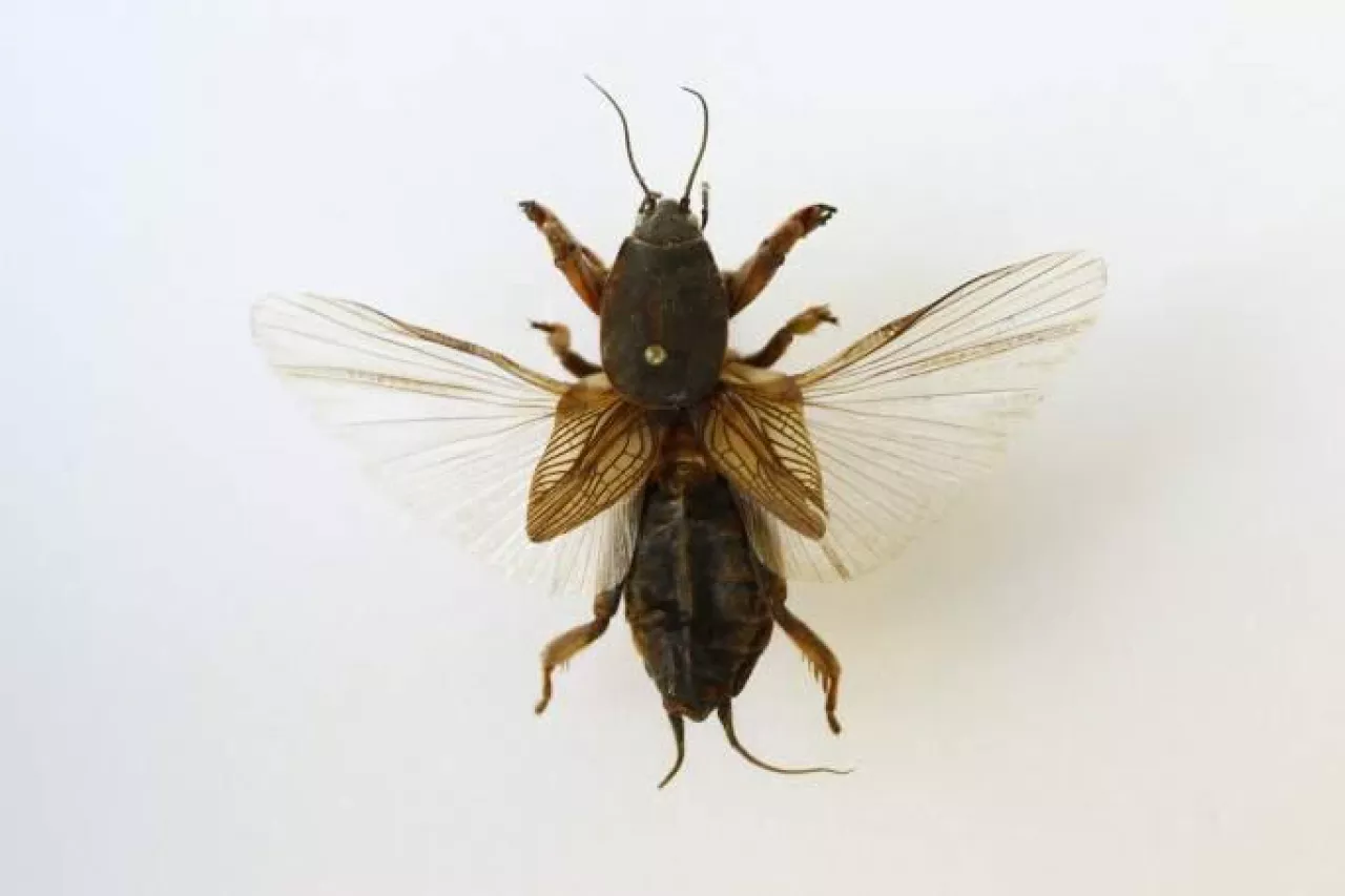
Turkuć podjadek (Gryllotalpa gryllotalpa) w powszechnej opinii uchodzi za szkodnika upraw. Czy jest taki straszny jak go malują?

Turkuć jest owadem z rzędu prostoskrzydłych (Orthopthera). Posiada bardzo charakterystyczny wygląd, jest nie do pomylenia z żadnym innym gatunkiem. Turkucie są duże, masywne osiągają wielkość 6-7 cm. Jak wszystkie owady posiadają trzy pary odnóży, z tym że pierwsza para jest u nich przekształcona w nogi grzebne

Turkucie prowadzą podziemny tryb życia, jednak w okresie godowym (maj/czerwiec) wychodzą na powierzchnię. Choć potrafią latać, zdecydowanie lepiej czują się w ziemi. U tego gatunku zimują postacie dorosłe w glebie (potrafią schodzić nawet do 1 m wgłąb, zależnie od przebiegu zimy).

Dlaczego są uważane za szkodniki? Jak wskazuje nazwa gatunkowa, turkucie podgryzają korzenie wielu gatunków roślin, podkopują i wysuszają je. Dzieje się to głównie w miejscu, w którym samica założyła komorę gniazdową, a rośliny wypadają placowo. Mimo, że samica składa w komorze kilkaset jaj, większość nie dorośnie do postaci dorosłej. W czasie dwuletniego rozwoju zostaną zjedzone przez drapieżniki oraz inne turkucie. Nieliczne, którym uda się przetrwać żywią się np. pędrakami i drutowcami.   

Zwalczanie turucia podjadka można rozpocząć od metod przyjaznych środowisku - wcześnie wykonanej orki, spulchniania międzyrzędzi czy zastawienia pułapek pokarmowych z ugotowanymi warzywami. Tak naprawdę turkuć podjadek jest groźny jeśli wystąpi w dużym nasileniu. Znajdując jeden bądź kilka egzemplarzy nie panikujmy, w przyrodzie każdy gatunek jest potrzebny. W ubiegłym roku, przed siewem ogórków natknąłem się na polu na 3 dorosłe turkucie. Nie podjąłem zwalczania, a problemów z wypadaniem roślin nie było. 
mk

01 - Published up: 2020-07-19 14:58:32 - Modified: 2020-07-19 14:58:32 - Feat.: - Title: Aktualnie na polach 02 - Published up: 2020-04-21 09:40:46 - Modified: 2020-04-21 09:40:46 - Feat.: - Title: Turkuć podjadek uciążliwy w uprawach tunelowych 03 - Published up: 2019-03-18 12:05:42 - Modified: 2019-03-18 12:05:42 - Feat.: - Title: Turkuć podjadek zagrożeniem dla warzywnictwa
01 - Published up: 2022-09-12 10:17:38 - Modified: 2022-09-12 10:17:38 - Feat.: 0 - Title: Opryskaj rośliny wywarem z czosnku 02 - Published up: 2022-08-31 22:00:00 - Modified: 2022-08-31 22:00:00 - Feat.: 0 - Title: Jak chronić maliny jesienne? 03 - Published up: 2022-08-31 22:00:00 - Modified: 2022-08-31 22:00:00 - Feat.: 0 - Title: Kwasy humusowe i ich zastosowanie w uprawach sadowniczych 04 - Published up: 2022-08-30 22:00:00 - Modified: 2022-08-30 22:00:00 - Feat.: 0 - Title: Ekologiczne z wyboru – miejsca produkcji ekologicznej 05 - Published up: 2022-08-28 22:00:00 - Modified: 2022-08-28 22:00:00 - Feat.: 0 - Title: Jakie czynniki miały największy wpływ i co sprawiło najwięcej problemów producentom warzyw na Kujawach? 06 - Published up: 2022-08-24 22:00:00 - Modified: 2022-08-24 22:00:00 - Feat.: 0 - Title: Profilaktyka i zwalczanie – uwaga na zmieniki w ogórkach! 07 - Published up: 2022-08-21 22:00:00 - Modified: 2022-08-21 22:00:00 - Feat.: 0 - Title: Jak zatrzymać wirus ToBRFV? 08 - Published up: 2022-08-11 22:00:00 - Modified: 2022-08-11 22:00:00 - Feat.: 0 - Title: Choroba szalonych korzeni – jak chronić uprawy ogórka? 09 - Published up: 2022-08-10 22:00:00 - Modified: 2022-08-10 22:00:00 - Feat.: 0 - Title: Mączliki i wciornastki - warzywa w sieprniu 10 - Published up: 2022-07-18 22:00:00 - Modified: 2022-07-18 22:00:00 - Feat.: 0 - Title: Roślinne pułapki i wabiki – PUSH-PULL 11 - Published up: 2022-07-17 22:00:00 - Modified: 2022-07-17 22:00:00 - Feat.: 0 - Title: Zmiany dla producentów ziemniaków – nowe sposoby zwalczania agrofagów 12 - Published up: 2022-07-12 22:00:00 - Modified: 2022-07-12 22:00:00 - Feat.: 0 - Title: Jakie zagrożenia czekają na warzywa w lipcu? Przypominamy! 13 - Published up: 2022-07-10 22:00:00 - Modified: 2022-07-10 22:00:00 - Feat.: 0 - Title: Oparzelizny słoneczne, czy początek choroby? Jak rozpoznać? 14 - Published up: 2022-06-19 22:00:00 - Modified: 2022-06-19 22:00:00 - Feat.: 0 - Title: Zrównoważone stosowanie pestycydów – Bruksela chce sztywnego ograniczenie stosowania środków ochrony roślin 15 - Published up: 2022-06-12 22:00:00 - Modified: 2022-06-12 22:00:00 - Feat.: 0 - Title: Czy powstanie baza zużycia pestycydów. UE chce mieć kontrolę nad ŚOR 16 - Published up: 2022-06-08 22:00:00 - Modified: 2022-06-08 22:00:00 - Feat.: 0 - Title: Karczownik na plantacji borówki – jak się go pozbyć? 17 - Published up: 2022-06-06 22:00:00 - Modified: 2022-06-06 22:00:00 - Feat.: 0 - Title: Preparaty do zwalczania śmietki na wybranych gatunkach. Czego można używać w kalafiorze, bobie, cebuli i innych? 18 - Published up: 2022-06-03 22:00:00 - Modified: 2022-06-03 22:00:00 - Feat.: 0 - Title: Miedź na choroby grzybowe i bakteryjne - teraz w czasie kwitnienia i po kwitnieniu 19 - Published up: 2022-06-01 22:00:00 - Modified: 2022-06-01 22:00:00 - Feat.: 0 - Title: Szkodniki buraka ćwikłowego – jak rozpoznać i kiedy działać? 20 - Published up: 2022-05-31 22:00:00 - Modified: 2022-05-31 22:00:00 - Feat.: 0 - Title: Europejska Agencja Chemikaliów wydała oświadczenie: glifosat nie jest rakotwórczy!
01 - Published up: 2022-09-12 10:17:38 - Modified: 2022-09-12 10:17:38 - Feat.: 0 - Title: Opryskaj rośliny wywarem z czosnku 02 - Published up: 2022-08-31 22:00:00 - Modified: 2022-08-31 22:00:00 - Feat.: 0 - Title: Jak chronić maliny jesienne? 03 - Published up: 2022-08-31 22:00:00 - Modified: 2022-08-31 22:00:00 - Feat.: 0 - Title: Kwasy humusowe i ich zastosowanie w uprawach sadowniczych 04 - Published up: 2022-08-30 22:00:00 - Modified: 2022-08-30 22:00:00 - Feat.: 0 - Title: Ekologiczne z wyboru – miejsca produkcji ekologicznej 05 - Published up: 2022-08-28 22:00:00 - Modified: 2022-08-28 22:00:00 - Feat.: 0 - Title: Jakie czynniki miały największy wpływ i co sprawiło najwięcej problemów producentom warzyw na Kujawach? 06 - Published up: 2022-08-24 22:00:00 - Modified: 2022-08-24 22:00:00 - Feat.: 0 - Title: Profilaktyka i zwalczanie – uwaga na zmieniki w ogórkach! 07 - Published up: 2022-08-21 22:00:00 - Modified: 2022-08-21 22:00:00 - Feat.: 0 - Title: Jak zatrzymać wirus ToBRFV? 08 - Published up: 2022-08-11 22:00:00 - Modified: 2022-08-11 22:00:00 - Feat.: 0 - Title: Choroba szalonych korzeni – jak chronić uprawy ogórka? 09 - Published up: 2022-08-10 22:00:00 - Modified: 2022-08-10 22:00:00 - Feat.: 0 - Title: Mączliki i wciornastki - warzywa w sieprniu 10 - Published up: 2022-07-18 22:00:00 - Modified: 2022-07-18 22:00:00 - Feat.: 0 - Title: Roślinne pułapki i wabiki – PUSH-PULL 11 - Published up: 2022-07-17 22:00:00 - Modified: 2022-07-17 22:00:00 - Feat.: 0 - Title: Zmiany dla producentów ziemniaków – nowe sposoby zwalczania agrofagów 12 - Published up: 2022-07-12 22:00:00 - Modified: 2022-07-12 22:00:00 - Feat.: 0 - Title: Jakie zagrożenia czekają na warzywa w lipcu? Przypominamy! 13 - Published up: 2022-07-10 22:00:00 - Modified: 2022-07-10 22:00:00 - Feat.: 0 - Title: Oparzelizny słoneczne, czy początek choroby? Jak rozpoznać? 14 - Published up: 2022-06-19 22:00:00 - Modified: 2022-06-19 22:00:00 - Feat.: 0 - Title: Zrównoważone stosowanie pestycydów – Bruksela chce sztywnego ograniczenie stosowania środków ochrony roślin 15 - Published up: 2022-06-12 22:00:00 - Modified: 2022-06-12 22:00:00 - Feat.: 0 - Title: Czy powstanie baza zużycia pestycydów. UE chce mieć kontrolę nad ŚOR 16 - Published up: 2022-06-08 22:00:00 - Modified: 2022-06-08 22:00:00 - Feat.: 0 - Title: Karczownik na plantacji borówki – jak się go pozbyć? 17 - Published up: 2022-06-06 22:00:00 - Modified: 2022-06-06 22:00:00 - Feat.: 0 - Title: Preparaty do zwalczania śmietki na wybranych gatunkach. Czego można używać w kalafiorze, bobie, cebuli i innych? 18 - Published up: 2022-06-03 22:00:00 - Modified: 2022-06-03 22:00:00 - Feat.: 0 - Title: Miedź na choroby grzybowe i bakteryjne - teraz w czasie kwitnienia i po kwitnieniu 19 - Published up: 2022-06-01 22:00:00 - Modified: 2022-06-01 22:00:00 - Feat.: 0 - Title: Szkodniki buraka ćwikłowego – jak rozpoznać i kiedy działać? 20 - Published up: 2022-05-31 22:00:00 - Modified: 2022-05-31 22:00:00 - Feat.: 0 - Title: Europejska Agencja Chemikaliów wydała oświadczenie: glifosat nie jest rakotwórczy!
23. kwiecień 2026 16:17